Captain: Domingo
Divemaster / Instructor: Ray
Weather: Perfect day for diving!
Water Temperature: 79 degrees
Dive One
Site: Palancar Bricks
Max Depth: 80 feet
Dive Time: 50 minutes
Key Animals: Blue Chromis, several Hawksbill Turtles, Southern Stingray
Visibility: 100+ feet
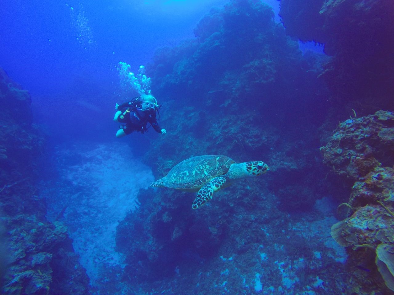
Notes: Pam is ready to dive, she actually choose the dive site, and as soon as we descend that nice swim-through was waiting for us, it opened wide and beautiful, the first sea turtle shows and it is time to take a picture, nice!, deep blue in one side the huge coral formation in the other, also good for a picture with Brian, long and nice swim-through to finish the dive over the sandy area where the sting ray shows, just awesome!
Dive Two
Site: Montanas
Max Depth: 55 feet
Dive Time: 60 minutes
Key Animals: Octopus, Squid, Several Hawksbill Turtles
Visibility: 100+ feet
Notes: Henry is having his nice camera, ready to video an octopus we have been following since she is taking care of the eggs, yes! We found it again, it is so nice and pretty, squids were swimming around too, then the turtle give us the chance to take a picture, at the end Brian and Henry found a shark Pam was the lucky one to have a picture with it, cool!
Prefer to call us?
Call from USA (312) 757 - 6167
From Mexico dial 987 - 119 - 3731
WhatsApp Free International text and calling +521 - 987 - 119 - 3731
Cozumel Vacation Packages
All-Inclusive Resorts
Cozumel Hotels
Best Value
Find Us
Classroom FAQ
Diving FAQ
Travel FAQ
Wouldn't you rather be Salty?




